-

欠278人735万工资!深圳一公司被龙门人社移交公安机关
9月25日,龙门县人力资源和社会保障局在官网发布《关于公布龙门县2025年第三季度拖欠农民工工资失信...
欧意OKX交易行情 2025-09-25 15
-

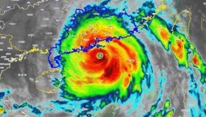
深圳已进入桦加沙10级风圈
据广州市气象台今早7时30分发布的消息,受台风影响,过去1小时,广州市出现分散阵雨,356个站点(6...
欧意OKX交易所 2025-09-24 13
-

广州、深圳回应台风前蔬菜被“抢空”:储备充足,“别担心!菜管够!”
超强台风“桦加沙”来袭,广州、深圳部分商超出现蔬菜等物资被“抢空”现象。对此,广州、深圳两地表示,当...
欧意OKX交易所 2025-09-23 13
-

深圳紧急动员令:23日下午在全市范围内实行“五停”
来源:深圳应急管理局 南方日报 深圳天气 深圳市防台风防汛紧急动员令 2025年1号 全市广大干部群...
欧意OKX交易行情 2025-09-23 9
-

深圳一奶茶店员工脱下拖鞋放进小料盆,店长称其第一天上班已被警方带走 “贡茶总部”否认是加盟店
9月17日,广东深圳的一奶茶店员工在网上发布视频,显示其在制作奶茶时,将自己脚上的拖鞋放入小料盆中,...
欧意OKX交易行情 2025-09-19 27
-

挤爆!深圳一地铁线晚高峰又出故障,网友:快一小时三个站没走完
奥一新闻注意到 今日(18日)晚高峰时段 深圳地铁4号线突发故障 不少市民称被堵在地铁上 有在现场的...
欧意OKX交易行情 2025-09-19 17
-

17、18号台风排队来袭!深圳或迎大暴雨
请注意 双台风排队来袭 未来都将可能登陆华南 其中 第17号台风“米娜”即将生成 趋向广东沿海 最强...
欧意OKX交易平台 2025-09-18 24
-

失联5天,遗体被找到!深圳警方初步排除刑事案件
9月13日,记者获悉,深圳七娘山失联5天的58岁中国台湾男性游客遗体11日被找到,目前深圳警方已初步...
欧意OKX交易所 2025-09-16 21
-

深圳知名企业董事长辞世,曾服务三大国际顶级赛事
9月15日,深圳领先体育微信公众号发布讣告:深圳市领先康体实业有限公司董事长周仰璟先生,于2025年...
欧意OKX交易平台 2025-09-16 22
-

深圳一小区突发起火,现场浓烟滚滚
今天(9月14日)中午 深圳市宝安区西乡街道福中福社区 一小区突发火情 引起关注 通过网友视频可以...
欧意OKX交易行情 2025-09-15 19
